Lesák rumělkový
![]() Cucujus cinnaberinus – lesák rumělkový | |
| Stupeň ohrožení podle IUCN | |
![]() téměř ohrožený[1] | |
| Vědecká klasifikace | |
| Říše | živočichové (Animalia) |
| Kmen | členovci (Arthropoda) |
| Podkmen | šestinozí (Hexapoda) |
| Třída | hmyz (Insecta) |
| Řád | brouci (Coleoptera) |
| Čeleď | lesákovití (Cucujidae) |
| Rod | lesák (Cucujus) |
| Binomické jméno | |
| Cucujus cinnaberinus (Scopoli, 1763) | |
| Některá data mohou pocházet z datové položky. | |
Lesák rumělkový (Cucujus cinnaberinus) je brouk z čeledi lesákovitých, vázaný na mrtvé dřevo (saproxylický).
Rozšíření
Východní část střední Evropy, hory v Rumunsku. Na severu žije porůznu a vzácně v jižnější části Skandinávie.[2] Lesák rumělkový je západopalearktický druh, žije i v severní, východní a jihovýchodní Evropě (od jižní Fennoskandie po Řecko) s izolovaným výskytem v jižní Itálii, východně do Ruska a Ukrajiny. Ve střední Evropě je znám z Bavorska, ČR, Polska, Rakouska a Slovenska.[3] Nové nálezy lesáka rumělkového pocházejí z Bulharska a Srbska[4]
Výskyt v Česku
Výskyt je nesouvislý, v lesních porostech s dostatkem odumřelého dřeva, příp. v alejích, větrolamech, oborách, parcích a příměstských lesích.[5] Vyskytuje se především v nížinných oblastech. Po řadu let byl považován za velmi vzácný druh známý pouze z Beskyd (NPR Mionší) a z lužních lesů při dolním toku Dyje (staré nálezy i ze Šumavy a Vraného). Od 90. let 20. stol. se objevují nálezy z dalších oblastí: lesák rumělkový je znám z lesů na dolním toku Odry, z povodí Bečvy a Svratky a z lokalit ve středních a východních Čechách (střední Polabí, dolní Poohří),[6] nově byl zjištěn v Bílých Karpatech.[3]
Popis
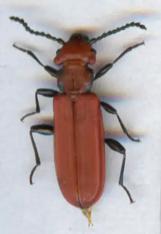
Tělo silně zploštělé, 11–15 mm dlouhé, hlava trojúhelníkovitá s rozšířenými spánky, oči velké, kusadla mohutná, nohy běhací. Zbarven rumělkově červeně (slabě leskle), oči, tykadla a nohy černé. Jantarově žlutá larva s tmavší hlavou je plochá, tykadla má krátká, na posledním zadečkovém článku koncové štěty (urogomfy).[5]
Ekologie
Vyskytuje se v květnu až červenci v listnatých lesích, kde se brouci ukrývají pod kůrou odumírajících nebo odumřelých listnatých dřevin (méně jehličnatých).[2] Všechna stadia žijí pod kůrou stromů, celoročně.[5] Dospělí brouci i larvy jsou draví, loví larvy a kukly podkorního hmyzu pod mírně odchlípenou kůrou. Vývoj je min. dvouletý; larva dvakrát přezimuje a v červenci se kuklí, přičemž stadium kukly trvá pouhých ±10 dní. Dospělý brouk zůstává v místě vylíhnutí do následujícího jara, pak je opouští. K plnému vybarvení dospělců dochází asi po třech dnech.[2] Chobot uvádí, že larvy i imaga se pravděpodobně živí hnijícím lýkem, ale larvy zřejmě požírají i larvy jiného podkorního hmyzu včetně slabších jedinců vlastního druhu.[7]
K vývoji vyžaduje dostatečný počet padlých či zlomených stromů v souvislých lesních porostech s přirozenou skladbou dřevin. Patrně mu vyhovují zapojené porosty, tedy zástin a vyšší relativní vlhkost. Pravděpodobný dostatek strukturně odpovídajících, zejm. lužních porostů je zřejmě v příčinném vztahu se vzrůstajícím počtem nálezů v současnosti.[7][3]
Nejraději vyhledává plantáže rychle rostoucích hybridních topolů. V krajině střední Evropy jich je dostatek, je v nich dost odumřelého dřeva a jsou prosluněné, protože byly zakládány ve volném zápoji a často také vyvětvovány (topolům se ve vysokém lese nedaří). Protože však lignikultury nikdo neobnovuje, mohl by vbrzku druh vymizet s nimi. Lesák rumělkový je patrně druh vázaný na rozpad porostů rané sukcese lesa – ve vyšších polohách to byly rozpadající se osikové porosty vzniklé po polomech či požárech, v nížinách staré porosty topolů vzniklé po povodních na říčních náplavech. Časté nálezy v parcích a oborách napovídají, že patrně vyhledával i pastevní lesy, které však v přírodě mizí, protože komerční lesnictví ranou sukcesi vylučuje a pastvu zakazuje. Z krajiny kvapně mizí i původní druhy topolů.[8]
Ochrana v ČR
Hlavní příčinou ohrožení je nedostatek a úbytek vhodných biotopů v krajině.[3]
- V České republice je lesák rumělkový zařazen na seznamu ohrožených druhů mezi silně ohrožené (celosvětově je dle IUCN téměř ohroženým druhem).
- V roce 2019 probíhal monitoring druhu.[9]
- Mapování výskytu lesáka rumělkového v České republice probíhá od roku 2007 na Biolibu.[10]
Nejvhodnější je sledovat druh v období larvální aktivity se souběžným výskytem dospělců: podzim (září až říjen) a jaro (duben až polovina května, příp. začátek července). Hlavními hostitelskými dřevinami larev jsou topoly, buk lesní, duby, vrby aj. Larvy i dospělci se vyskytují v místech s koncentrovaným větším množstvím mrtvého dřeva (ležícího i stojícího). Dospělci jsou nejaktivnější v teplých jarních dnech v odpoledních až podvečerních hodinách; nalétávají na odumřelé či poražené (i čerstvě) stromy. Dřevo musí mít celoplošně zachovalou kůru a větší průměr.[11]
Lesák rumělkový se barvou i lokalitami výskytu podobá mnohem hojnějšímu červenáčkovi ohnivému (Pyrochroa coccinea), ale výrazně plochým tvarem těla a mnohem větší hlavou je s ním nezaměnitelný. Podobnost larev je vyšší, rozdíl je především v tvaru hlavy a v postavení ostnů na posledním článku zadečku (lesák do „V“, se čtyřmi postranními menšími trny).[7]
Péče o druh
K přežití populací lesáka rumělkového je nutné zajistit kontinuální výskyt substrátu vhodného pro vývoj druhu, tzn. zachovat na dané lokalitě co nejvyšší počet starých stromů a starého dřeva v přirozenému rozkladu. Těžba není vyloučena, je však vhodné volit méně razantní způsoby seče.
Podobný druh
Podobný je druh Cucujus haematodes Erichson, 1845, který má červeně zbarvená i kusadla. Je to pralesní relikt žijící na jehličnanech.[2] Larvy a imaga žijí pod kůrou odumřelých a odumírajících stromů, ve střední Evropě převážně starých jedlí. Biotopem v ČR jsou pralesovité horské lokality, staré jedliny, jedlobučiny, staré původní smrčiny, horské pastevní řídké lesy.[2][12]
Odkazy
Reference
- ↑ The IUCN Red List of Threatened Species 2022.2. 9. prosince 2022. Dostupné online. [cit. 2023-01-02].
- ↑ a b c d e ZAHRADNÍK, Jiří. Brouci. Praha: Aventinum, 2008, s. 143. Fotografické atlasy. ISBN 978-80-86858-43-2.
- ↑ a b c d Lesák rumělkový (Cucujus cinnaberinus). In: Biomonitoring.cz [online]. ©2007 [cit. 22. 7. 2019]. Dostupné z: http://www.biomonitoring.cz/druhy.php?druhID=18 Archivováno 28. 6. 2020 na Wayback Machine.
- ↑ HORÁK, Jakub & CHOBOT, Karel. Worldwide distribution of saproxylic beetles of the genus Cucujus Fabricius, 1775 (Coleoptera: Cucujidae). In: BUSE, J.; ALEXANDER, K. N. A.; RANIUS, T. & T. ASSMANN, Hrsg. Saproxylic Beetles – their Role and Diversity in European Woodland and tree Habitats. Proceedings of the 5 Symposium and Workshop on the Conservation of th Saproxylic Beetles. Sofia; Moscow: Pensoft Publishes, 2009, s. 189–206. Přístup také z: https://www.researchgate.net/publication/228652670_Worldwide_distribution_of_saproxylic_beetles_of_the_genus_Cucujus_Fabricius_1775_Coleoptera_Cucujidae
- ↑ a b c ANDĚRA, Miloš a SOVÁK, Jan. Atlas fauny České republiky. Praha: Academia, 2018, s. 70. Atlas. ISBN 978-80-200-2756-6.
- ↑ Mapa cucujus cinnaberinus [online]. [cit. 2023-12-18]. Dostupné v archivu pořízeném z originálu dne 2020-06-28.
- ↑ a b c CHOBOT, Karel. Lesák rumělkový Cucujus cinnaberinus – málo známý druh naší fauny. Ochrana přírody. 2006, roč. 61, č. 9, s. 269. Dostupné také z: https://www.researchgate.net/publication/318588679_Lesak_rumelkovy_Cucujus_cinnaberinus_-_malo_znamy_druh_nasi_fauny_Distribution_of_Flat_Bark_Beetle_in_Czechia
- ↑ CHOBOT, Karel a HORÁK, Jakub. Jaká je šance sněhových koulí v pekle? Saproxyličtí brouci a Natura 2000. Vesmír. 2011, roč. 90, č. 10, s. 583. Dostupné také z: https://vesmir.cz/cz/casopis/archiv-casopisu/2011/cislo-10/jaka-je-sance-snehovych-kouli-pekle.html
- ↑ Lesák rumělkový (Cucujus cinnaberinus) – Monitoring. In: Biomonitoring.cz [online]. ©2007 [cit. 22. 7. 2019]. Dostupné z: http://www.biomonitoring.cz/druhy.php?druhID=18&monitoringID=4070 Archivováno 28. 6. 2020 na Wayback Machine.
- ↑ Taxon – Mapování druhů druh lesák rumělkový Cucujus cinnaberinus (Scopoli, 1763). In: BioLib.cz [online]. ©1999–2019 [cit. 22. 7. 2019]. Dostupné z: https://www.biolib.cz/cz/taxonspeciesmappings/id10367/pos90,30/
- ↑ CHOBOT, Karel; ŠTAMBERGOVÁ, Monika a MÍKOVCOVÁ, Alena. Mapování ohrožených druhů bezobratlých. Veronica. 2008, č. 3, s. 22–24. Dostupné také z: http://www.casopisveronica.cz/clanek.php?id=1589
- ↑ HORÁK, J.; MERTLÍK, J.; CHOBOT, K. a KUBÁŇ, V. Distribution of a rare saproxylic beetle Cucujus haematodes (Coleoptera: Cucujidae) in the Czech Republic with notes to the occurrence in central Europe. Klapalekiana. 2009, č. 45, s. 191–197.
Literatura
- ANDĚRA, Miloš a SOVÁK, Jan. Atlas fauny České republiky. Praha: Academia, 2018. 664 s. Atlas. ISBN 978-80-200-2756-6.
- ČESKO. Vyhláška č. 395 ze dne 11. června 1992, kterou se provádějí některá ustanovení zákona České národní rady č. 114/1992 Sb., o ochraně přírody a krajiny. Sbírka zákonů ČR. 1992, částka 80, s. 2212–2246. ISSN 1211-1244. [Ve znění vyhl. 175/2006 Sb. - druhy silně ohrožené]
- ČESKO. Vyhláška č. 175 ze dne 14. dubna 2006, kterou se mění vyhláška č. 395/1992 Sb., kterou se provádějí některá ustanovení zákona č. 114/1992 Sb., o ochraně přírody a krajiny, ve znění pozdějších předpisů. Sbírka zákonů ČR. 2006, částka 60. ISSN 1211-1244.
- HORÁK, Jakub & CHOBOT, Karel. Worldwide distribution of saproxylic beetles of the genus Cucujus Fabricius, 1775 (Coleoptera: Cucujidae). In: BUSE, J.; ALEXANDER, K. N. A.; RANIUS, T. & T. ASSMANN, Hrsg. Saproxylic Beetles – their Role and Diversity in European Woodland and tree Habitats. Proceedings of the 5 Symposium and Workshop on the Conservation of th Saproxylic Beetles. Sofia; Moscow: Pensoft Publishes, 2009, s. 189–206. Přístup také z: https://www.researchgate.net/publication/228652670_Worldwide_distribution_of_saproxylic_beetles_of_the_genus_Cucujus_Fabricius_1775_Coleoptera_Cucujidae
- HORÁK, Jakub; MERTLIK, Josef; CHOBOT, Karel & KUBÁŇ, Vítězslav. Distribution of a rare saproxylic beetle Cucujus haematodes (Coleoptera: Cucujidae) in the Czech Republic with notes to the occurrence in central Europe. (Rozšíření vzácného saporoxylického brouka Cucujus haematodes (Coleoptera: Cucujidae) v České republice s poznámkami k výskytu ve střední Evropě). Klapalekiana. 2009, roč. 45, č. 3–4, s. 191–197. ISSN 1210-6100. Dostupné také z: https://www.researchgate.net/publication/267153393_Distribution_of_a_rare_saproxylic_beetle_Cucujus_haematodes_Coleoptera_Cucujidae_in_the_Czech_Republic_with_notes_to_occurrence_in_central_Europe
- CHOBOT, Karel. Lesák rumělkový Cucujus cinnaberinus – málo známý druh naší fauny. [Distribution of Flat Bark Beetle in Czechia]. Ochrana přírody. 2006, roč. 61, č. 9, s. 269. Dostupné také z: https://www.researchgate.net/publication/318588679_Lesak_rumelkovy_Cucujus_cinnaberinus_-_malo_znamy_druh_nasi_fauny_Distribution_of_Flat_Bark_Beetle_in_Czechia
- CHOBOT, Karel a HORÁK, Jakub. Jaká je šance sněhových koulí v pekle? Saproxyličtí brouci a Natura 2000. Vesmír. 2011, roč. 90, č. 10, s. 578–583. Dostupné také z: https://vesmir.cz/cz/casopis/archiv-casopisu/2011/cislo-10/jaka-je-sance-snehovych-kouli-pekle.html
- JELÍNEK J. Návrh národního seznamu území „Special Areas of Conservation“ pro druh Cucujus cinnaberinus (Scopoli, 1763). Podklady pro zařazení do soustavy „Natura 2000“. Nepubl. rkp. Praha: AOPK, 2000. 4 s.
- ZAHRADNÍK, Jiří. Brouci. Praha: Aventinum, 2008. 288 s. Fotografické atlasy. ISBN 978-80-86858-43-2.
Související články
Externí odkazy
Obrázky, zvuky či videa k tématu lesák rumělkový na Wikimedia Commons
Galerie lesák rumělkový na Wikimedia Commons

